😍 LifePress
Bejelentkezés
Regisztráció
Főoldal
/
Szerzők
/
@TorvVedve
@TorvVedve bejegyzései
3 publikált bejegyzés
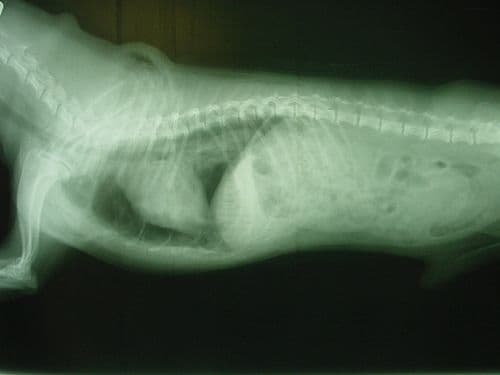
#betegség
#kutya
#légmell
#mellkas
Légmell
@TorvVedve
•
2011. aug. 16.
•
1 perc olvasás
#álmok
#belső én
#éntudat
#filozófia
Mi tehát a tudattalan?
@TorvVedve
•
2011. szept. 20.
•
1 perc olvasás
#Állatkert
#bőgés
#bőgőmajom
#dzsungel
A fekete bőgőmajom
@TorvVedve
•
2024. ápr. 8.
•
1 perc olvasás