#fájdalom#mellkas#nyomás#rizikófaktorA szívinfarktusról általában@Kkmadr•2020. szept. 28.•1 perc olvasás
#bemelegítés#derék#gyakorlat#mellkasA fekve nyomás alapgyakorlata@popmuzik•2020. szept. 6.•1 perc olvasás
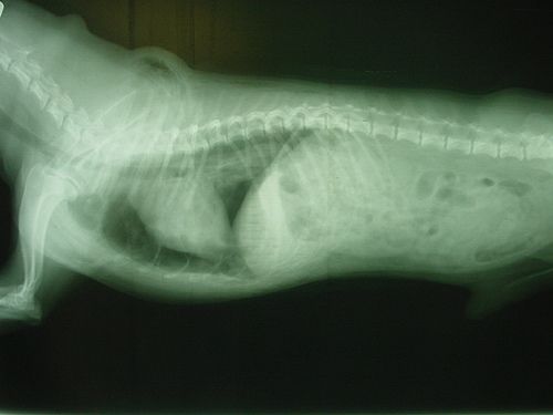
#betegség#kutya#mellkas#mellvízkórA mellkas egyéb megbetegedései@jszakai•2011. aug. 16.•1 perc olvasás